Reprezentanții firmei Prinfo SRL din Brașov au prezentat în 21 martie, la CATTIA, Studiul de Fezabilitate pentru dublarea străzii Institutului și conectarea acesteia la Calea Făgărașului și la Ocolitoarea Municipiului Brașov. Proiectantul a prezentat trei variante, dar a menționat că recomandă Scenariul nr. 3.
Studiul de fezabilitate va fi supus aprobării Consiliului Local Brașov, apoi municipalității va trebui să găsească banii pentru finanțarea lucrărilor. De altfel, având în vedere valoarea mare a investiției, Primăria Brașov ia în calcul „fazarea” proiectului, lucrările urmând a se derula pe etape.
Care sunt cele trei scenarii
Scenariul 1 (cel mai simplu):
- subtraversarea liniei Brașov – Sibiu, pe sub un pod metalic de cale ferată. Inițial a fost un pod de cale ferată, apoi, când s-a aprobat studiul de fezabilitate pentru calea ferată spre aeroport, apare încă un pod de cale ferată.
- pe strada Institutului vor fi amenajate intersecțiile cu străzile prevăzute în Planul Urbanistic Zonal aferent zone. Strada va avea patru benzi de circulație (câte două pe sens), zone verzi bilaterale pe ambele laturi ale drumului, piste pentru bicicliști unilaterale cu lățimea de 1,5 m (câte una pe fiecare sens), trotuare (cu lățimea de 1,5 m).
- valoarea totală a proiectului este estimată la 147.239.415,62 lei.
Scenariul 2 (cel mai scump):
- pasaj care pornește de la intersecția Căii Făgărașului cu Șoseaua Cristianului. Pasajul urma să urmeze, parțial, Calea Făgărașului, până la sensul giratoriu de la strada Cărămidăriei (la Benzinăria Mol), apoi, printr-o curbă la dreapta traversa căile ferate Brașov – Ghimbav și Brașov Zărnești și se racorda cu strada Egretei.
- pe strada Institutului vor fi amenajate intersecțiile cu străzile prevăzute în Planul Urbanistic Zonal aferent zone. Strada va avea patru benzi de circulație (câte două pe sens), zone verzi bilaterale pe ambele laturi ale drumului, piste pentru bicicliști unilaterale cu lățimea de 1,5 m (câte una pe fiecare sens), trotuare (cu lățimea de 1,5 m).
- valoarea totală a proiectului este estimată la 292.678.608,94 lei.
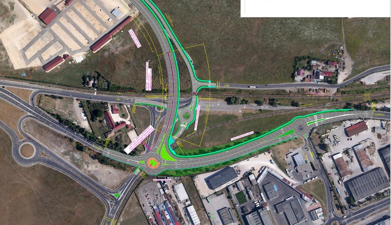
Scenariul 3 (recomandat):
- realizarea unui sens giratoriu, pe amplasamentul pasajului existent (de pe DN 1, spre Ghimbav), la nivelul actual al pasajului. Proiectul prevede înlocuirea acestui pasaj cu două mai mici, unul pentru linia de cale ferată Brașov – Zărnești și unul pentru strada Curmăturii. Peste structura celor două mici pasaje ar urma să se amenajeze „turbogirația”. Din această amenajare se desprinde un pasaj în curbă, care traversează linia de cale ferată Brașov – Sibiu și se racordează în zona intersecției cu strada Egretei.
- în primă fază, va fi reconfigurată intersecția de la strada Cărămidăriei pentru trei benzi de circulație pe Calea Făgărașului (în prezent sunt 2 benzi). A treia bandă va fi dedicată, exclusiv, accesului pe strada Institutului. Această bandă nu va intra în sensul giratoriu, ci se încadrează în pasaj.
- noul pasaj de pe DN 1 va avea aproximativ 190 m.
- pasajele vor fi configurate, astfel încât să permită electrificarea căilor ferate. În plus, pasajul care va traversa magistrala feroviară Brașov – Făgăraș va fi proiectat astfel încât să permită dublarea liniei ferate.
- pe pasaje și rampe pista va exista o singură pistă pentru bicicliști, cu dublu sens.
- pe strada Institutului vor fi amenajate intersecțiile cu străzile prevăzute în Planul Urbanistic aferent zone. Strada va avea patru benzi de circulație (câte două pe sens), zone verzi bilaterale pe ambele laturi ale drumului, piste pentru bicicliști unilaterale cu lățimea de 1,5 m (câte una pe fiecare sens), trotuare (cu lățimea de 1,5 m) și dispozitive pentru captarea apei și tratarea apei (pentru că în zonă nu este rețea de captare a apei pluviale).
- de la CATTIA este prevăzută o legătură cu Ocolitoarea Brașovului. Accesul de pe ocolitoare în strada Institutului (spre CATTIA) se va face numai pe dreapta. De asemenea, cei care ies în ocolitoare dinspre CATTIA vor putea vira numai la dreapta.
- durata estimată a lucrărilor este de 36 de luni.
- pe durata lucrărilor, circulația din Avantgarden nu va fi modificată. Circulația de pe Calea Făgăraș spre Ghimbav se va face pe o trecere la nivel provizorie pe calea ferată Brașov – Zărnești. Pe sensul Ghimbav – Brașov, circulația va fi deviată spre Șoseaua Cristianului.
- valoarea totală a proiectului este estimată la 234.160.655,54 lei.
Fii la curent cu cele mai importante știri din Brașov, direct pe telefonul tău. Descarcă aplicația BrasovMetropolitan pentru iphone-ul tău!


Fii primul care comentează